Cet article reprend entièrement celui que j’avais rédigé en février 2008, mis-à-jour régulièrement. A l’origine, j’avais fait un article sur la partie ancienne et un autre sur la partie plus récente : je les ai rassemblés et actualisés.
Compte-tenu de la difficulté des recherches dans ce cimetière, j’invite quiconque aura des informations nouvelles - ou des corrections - à m’en faire part. En vous remerciant par avance.
HISTORIQUE DU CIMETIÈRE
Le cimetière parisien de Saint-Ouen ne doit pas être confondu avec le cimetière communal de Saint-Ouen, qui se trouve dans le centre-ville. Exilé proche du périphérique, ce cimetière parisien fut à l’origine le troisième cimetière de Montmartre (son nom était d’ailleurs anciennement "Montmartre Saint-Ouen") : Montmartre n’était alors pas encore intégré à Paris ! Il fut édifié dans la zone non lotie aux abords des fortifications, entre la Porte de Clignancourt et celle des Poissonniers, pour faire face à l’engorgement du cimetière Saint-Vincent. Pour qui connaît l’histoire de Montmartre, c’est une réalité perceptible : bien des artistes de "seconde zone" étroitement liés à la butte reposent ici.
Le cimetière se présente aujourd’hui en deux parties, séparées par une rue guère utilisée (on parle de joindre à terme les deux parcelles) : la partie ancienne, dite également "petit cimetière", ouvrit ses portes en 1858, tandis que la partie plus moderne, formant l’essentiel de la surface, située sur les communes de Saint-Ouen et de Saint-Denis, ouvrit en 1872. En 1886, un arrêté préfectorale fusionna les deux parties sous une seule conservation, donnant naissance au cimetière actuel. L’ensemble occupe 27 ha, soit une fois et demie la superficie du cimetière Montparnasse !
Les bombardements du 21 avril 1944
Dans la nuit du 20 au 21 avril 1944, les habitants du nord de Paris furent réveillés par les sirènes d’alerte. Le débarquement approchant, les Alliés veulent ralentir les déplacements des troupes allemandes en attaquant la gare de triage de la Chapelle. Pendant deux heures, des milliers de bombes pleuvent sur le quartier, frappant les populations civiles et faisant 670 morts et 377 blessés. Le cimetière est lourdement touché par 180 bombes qui ravagent les divisions et les allées, détruisant un des murs de clôture et rendant la conservation inutilisable.
Plusieurs centaines de sépultures furent pulvérisées, dont celle de l’écrivain Alphonse Allais.
Un cimetière de relégation
Contrairement aux cimetières intra-muros, qui accueillent des sépultures perpétuelles, le cimetière parisien de Saint-Ouen fut affecté en un premier temps aux inhumations temporaires et gratuites. Par la suite, à de rares exceptions, la plupart des enterrements qui se tinrent ici furent de 9ème, 8ème ou 7ème classe.
Le cimetière de Saint-Ouen est un cimetière de déshérités : tout y respire la tristesse, malgré le soin apporté à border ses avenues de végétations. Il n’est guère visité, pas même par une "clientèle de quartier". Bordé par des lignes de chemin de fer sur lesquelles stationnent des TGV vides en attente de contrôle, il est un alignement de pauvres monuments devenus souvent illisibles et pour beaucoup en piteux état, et de dalles modernes ajoutant à la monotonie grise. Dans sa partie ancienne, les reprises sont nombreuses, laissant certaines divisions comme exsangues de tombes.
En terme de monumentalité nécropolitaine, on a ici pas grand chose à se mettre sous la dent. La présence de célébrités, rarement des "pointures" mais le plus souvent des oubliés, rend néanmoins la recherche intéressante.
Trouver une tombe : un parcours du combattant
De tous les cimetières parisiens, celui de Saint-Ouen est, avec celui de Thiais, celui dans lequel les recherches sont les plus difficiles.
Disons le : tout serait à refaire !
– La répartition des divisions relève d’une fantaisie absolue : non seulement elles ne se suivent pas, mais d’autres inepties sont observables : ainsi, la 1ère et la 2ème divisions se trouvent à la fois dans la partie ancienne (mais la 1ère n’apparaît plus sur le plan) mais aussi dans la partie récente. Les deux cimetières possèdent des divisions 1 à10, ce qui laisse toujours une ambiguïté sur le cimetière concerné.
– identification des tombes : on aurait pu penser que la mise en ligne des registres des cimetières aurait facilité la tâche : c’est très relatif ! Certes, on finit par retrouver la plupart des personnalités qui y reposent, MAIS :
- les repères pour trouver les sépultures relèvent d’un parcours du combattant : chaque division possède son mode de fonctionnement (que le cimetière, qui possède la grille de lecture, ne communique pas !) Si certaines sont localisées sur un repère orthonormé indiquant une ligne et une tombe, d’autres le sont par rapport à des points cardinaux établis par un fou (tantôt on part d’un coin de la division, tantôt par son milieu) ! Dans tous les cas, on trouve rarement la tombe là où on la croyait placée.
- Il faut savoir que les registres ne font pas figurer systématiquement les exhumations : ainsi, on en vient à chercher des tombes qui ont parfois disparues depuis fort longtemps. C’est évidemment beaucoup plus fréquent dans un cimetière où beaucoup de sépultures n’avaient été aménagées que pour un temps limité. Ainsi, il est très probable que certaines tombes, que j’avais prises en photo il y a trente ans et qui figurent sur cette page, n’existent plus.
- A ces difficultés s’en ajoute une autre de taille : dans beaucoup de divisions, deux tombes sur trois sont envahies par la mousse ou sont tellement endommagées qu’il faudrait les nettoyer une par une pour trouver son sésame... s’il est encore là !
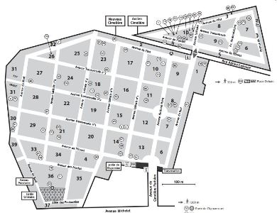
– le plan "officiel" : bienvenue chez Ubu ! Pendant longtemps, on y distribuait un plan totalement fantaisiste, où aucune mise à jour n’avaient été faites. Depuis, un nouveau plan officiel a vu le jour, reprenant l’ensemble des personnalités retrouvées par mes soins et contenu dans cet article, qui en a donc été le modèle (on peut le trouver sur le Net). On aimerait à penser qu’il va être une aide précieuse, mais ce serait une erreur. J’ignore qui en est l’auteur, mais il n’y a pas de quoi le remercier : la quasi totalité des localisations est totalement fausse, vous amenant parfois à l’extrémité inverse du lieu où se trouve la tombe. Certaines ne sont même pas placées dans la bonne division. En outre, d’un plan à l’autre, certaines divisions ont disparu (la 5, la 38...) alors qu’elles existent toujours. Pour mieux comprendre, je joins le plan actuel du cimetière avec sa version antérieure de trente ans.
Bref : je serais très reconnaissant aux compagnons d’infortunes qui s’aventurerons dans ce lieu pour y faire des recherches, et qui pourrons enrichir ou corriger cet article. Seule la passion pour ces endroits délaissés et, disons-le, le grain de folie, peuvent expliquer ma recherche systématique dans toutes ses allées de la moindre petite trace de célébrités ou de monument insolite. Faire des recherches à Saint-Ouen relève d’une nouvelle discipline : l’urbex taphophile !
célébrités : les incontournables ...
Comme nous l’avons vu, elles ne sont pas nombreuses compte-tenu de la superficie du cimetière.
– Alphonse ALLAIS (petit cimetière - 10e division)
– Suzanne LENGLEN (petit cimetière - 6e division)
– Suzanne VALADON (grand cimetière - 13e division)
Pour plus de facilités pour la recherche, sont présentés tour-à-tour le petit (ancien) cimetière, puis le grand.
PETIT CIMETIÈRE
curiosités
– quelques trop rares statues ou stèles sculptées. L’ensemble du cimetière ne possède que deux bustes : celui d’une femme âgée dans la 6ème division et celui d’un homme dans la chapelle Poinsot (9ème division).
– une petite pyramide un tantinet anachronique : celle de V. Coquiard dans la 7ème division.
– une femme "décapitée" sur la tombe Siriou dans la 9ème division.
– la tombe de Louis-Alfred Lecomte de l’Isle (1823-1887), le frère du célèbre poète parnassien.
– Le peintre paysagiste et lithographe François-Joseph DUPRESSOIR (1800-1859) fut inhumé dans une fosse commune de cette partie du cimetière.
Présentation par divisions
1ère division
– Le mathématicien Xavier ANTOMARI (1855-1902).
– Le dramaturge et un marchand d’estampes français Octave BERNARD (1869-1953) [1 don, 4N, 117 W].
2ème division
– Le peintre Paul BIVA (1851-1900), qui exposa pratiquement sans discontinuer au
Salon des artistes français de 1878 à sa mort. Ses sujets de prédilection furent les fleurs, et tout particulièrement les roses et les pivoines. Son œuvre fut reconnue et appréciée du public et des critiques. Avec lui repose sa fille, Jeanne BIVA-BERTHOUX (1878-1933), peintre formée à l’École des beaux-arts de Paris en 18971, où elle eut William Bouguereau comme professeur. Elle exposa des pastels au Salon des artistes français en 1908. S’y trouve également la fille de cette dernière, Huguette BERTHOUX-GRAUX (1917-2003), peintre paysagiste qui eut une prédilection pour la montagne, en été comme sous la neige, notamment la Haute-Savoie, mais qui peignit également l’Île-de-France. Son frère Henri BIVA (1848-1929), également peintre de l’école de Barbizon qui évolua dans ses paysages entre postimpressionnisme et réalisme avec une composante naturaliste, reposait dans le 5e division de ce cimetière jusqu’à son exhumation en octobre 1946, sa tombe étant "sinistrée" (sans doute détruite par les bombardements de 1944) [2e don, 1, 14].
– l’homme de lettres Eugène FOURRIER PERINGUÉ (1850-1903).
3ème division
– Maurice COGNACQ (1870-1949), gouverneur de la Cochinchine de 1921 à 1926, il fut vivement attaqué par André Malraux pour ses méthodes autoritaires. Dans cette même tombe repose le compositeur Léo POUGET (1875-1930), à qui l’on doit des mélodies, des musiques d’opérette, mais également la bande musicale de La Passion de Jeanne d’Arc de Dreyer. La localisation de leur tombe sur le plan est totalement fausse.
– la comédienne et sociétaire de la Comédie Française Marcelle GENIAT (Marcelle
Weissmann : 1881-1959) . Elle avait mené une carrière assez longue, commençant dans le muet dans les années 10 et jouant au cinéma jusque dans les années 50. On se souvient de sa participation à la Belle équipe de Julien Duvivier, ou encore Manon des Sources, de Pagnol. Sa tombe, dans un état déplorable, est devenue quasiment illisible : seules se devinent les quelques lettres du début de son nom (Weissmann). Elle est surmontée d’une jardinière rectangulaire dans le même état.
4ème division
– l’homme de lettres Ferdinand BOROSTYANY (1848-1902).
– Napoléon HAYARD (1850-1903), « l’Empereur des camelots » de la capitale à la fin du XIXe siècle. Personnage haut en couleur, il passa à la tête de son armée de camelots, du camp républicain radical à l’antisémitisme militant. Il mourut en 1903, renversé par l’une des premières automobiles. Son épitaphe proclamait : Avec lui disparaît un type curieux auquel son activité, son intelligence et, il faut ajouter, son bon cœur, ont conquis la population sympathique qui lui valut son pompeux sobriquet d’Empereur des camelots. Les Journaux. Sa tombe, placée dans la 4ème division, se trouverait ligne 2, tombe 71 sud. Je ne l’ai pas identifié malgré mes recherches, sans certitude qu’elle y soit encore.
– le peintre Ernest PERNELLE (1861-1950), qui fut l’élève de Guillement, et auquel
on doit de nombreux pastels. Attaché à Montmartre (il possédait un atelier rue Saint-Rustique), il représenta les monuments aujourd’hui disparu de ce quartier, telle la maison de Berlioz. Il fut l’auteur de fresques dans la salle des mariages de la mairie du XVIIIe arrondissement.
5ème division
– L’acteur Charles LORRAIN (Charles Ruault : 1873-1933), qui joua dans les théâtres parisiens mais qui tourna également pour de nombreux films de cinéma de 1908 à sa mort [5e don, 8, 44].
6ème division
– le pianiste Samson FRANÇOIS.
– Le ténor Antoine RENARD (1825-1872), connu pour avoir composé en 1867 la musique du Temps des cerises, la célèbre chanson de Jean-Baptiste Clément.
– le chanteur Emile-Alexandre TASKIN (1853-1897). Issu d’une lignée de musicien,
descendant du célèbre Couperin, ce baryton s’illustra à l’Opéra comique et fit un grand nombre de premières, en particulier celle des œuvres de Massenet.
7ème division
– Le peintre espagnol Carlos CASAGEMAS (1881-1901), connu pour
son amitié avec Pablo Picasso. Ils partagèrent quelques temps un atelier à Barcelone. Financièrement plus à l’aise que Picasso, c’est lui qui proposa et subvint en grande partie aux frais de leur premier voyage à Paris à la fin de l’année 1900. Tandis que Picasso s’épanouit progressivement, Casagemas sombra dans la dépression suite à une déconvenue amoureuse. Il se suicida d’une balle dans la tête dans le Café de l’Hippodrome, porte de Clichy. Picasso absent lors du drame et profondément marqué par cet évènement peignit, six mois plus tard, trois toiles du défunt dont le célèbre portrait posthume de son ami dans son cercueil La Mort de Casagemas. Picasso dit plus tard que c’est le choc du suicide de son ami et cette toile en particulier qui initia sa période bleue. Je n’ai pas identifié sa tombe, sans certitude qu’elle y soit encore [7e don, 1E, 3N].
9ème division
– le compositeur Louis GANNE (1862-1923) : élève de Massenet et
de César Franck, on lui doit à la fois des opérettes charmantes dans leur temps, en particulier les Saltimbanques, mais également des marches patriotiques, telles la Marche Lorraine et le Père la Victoire. Chef d’orchestre des Bals de l’Opéra, Louis Ganne travailla également pour les Folies Bergères et le Casino de Paris. Le plan l’indique dans la 10e division.
– le peintre Georges JOUBIN (1888-1983). Elève de Jean-Pierre Laurens, puis des
Beaux-Arts, il fut à l’origine en 1929 de la création de l’éphémère école de Montmartre (avec, entre autres, Pierre Bonnard, Dignimont ou Jules Pascin). Sa peinture n’est pas sans rappeler le style des Nabis, une peinture franche, colorée et sans nuance qui a encore des amateurs.
– le graveur Jules ROBERT (1843-1898), qui collabora à plusieurs journaux (l’Illustration, l’Histoire des Peintres). Il fut également l’auteur de plusieurs billets de banque. Un petit médaillon en bronze -le seul du cimetière- qui le représente orne sa tombe. Il est inhumé avec le graveur Auguste THEVENIN (1856-1921), son élève, à qui l’on doit plusieurs timbres. Le plan les indiquent dans la 7ème division.
– la comédienne Jane SOURZA (Jeanne Sourzat : 1902-1969). Originaire de
Montmartre, elle fut le modèle de la gouailleuse typiquement parisienne. Des années 30 aux années 60, elle interpréta un grand nombre de rôles au cinéma, mais les plus âgés se souviennent surtout d’elle, à partir de 1937, pour son duo radiophonique avec Raymond Souplex Sur le banc, où tout deux jouaient un couple de clochards refaisant le monde, et qui connut un énorme succès à une époque où la télévision n’existait pas.
10ème division
– Le photographe Pierre "Etienne" CARJAT (1828-1906), à qui l’on doit les portraits des figures les plus connues de son époque : Rossini, Dumas-père... Il fut en particulier l’auteur de l’unique portrait non flou d’Arthur Rimbaud (devenu iconique) et celui de Charles Baudelaire. Il fut inhumé au cimetière parisien de Pantin puis transféré ici le 20 mars 1947. Je n’ai pas identifié sa tombe, sans certitude qu’elle y soit encore [10e don, 5, 4].
– dans le même tombeau reposent l’écrivain Roland CHARMY (1885-1959), son fils,
le violoniste Roland CHARMY (1908-1987), qui fut professeur au Conservatoire et qui forma toute une génération d’artistes, et l’épouse de ce dernier, la harpiste d’origine russe Lily LASKINE (1893-1988), qui fut la première femme à intégrer l’orchestre de l’Opéra de Paris, devint soliste et enseigna son art au Conservatoire. Un prix musical porte aujourd’hui son nom. Ils reposent ensemble dans la 10ème division.
– le compositeur Paul DELMET.
– La peintre de miniatures Louise GALLET-LEVADÉ (1865-1937), ancienne élève de Jules Lefebvre, de Tony Robert-Fleury et d’Henry Royer, qui exposa au Salon à partir de 1892.
– le peintre et graveur sur bois André MARGAT (1903-1997), qui se spécialisa dans
les représentations orientalisantes, et en particulier la peinture animalière. Sa tombe est très mal localisée sur le plan.
– Le peintre marseillais Jean-Baptiste OLIVE (1848-1936) qui vécut
l’essentiel de sa vie à Montmartre, qui travailla pour de nombreuses commandes, en particulier pour le cirque Médrano, et qui réalisa de nombreuses décorations pour les cafés de Marseille, ainsi que de nombreuses marines.
– Le peintre et aquafortiste Pierre-Jacques PELLETIER (1867-1931) [10e don, 20W, 6S].
– le journaliste sportif Alex VIROT (1890-1957), qui fut le premier à suivre les coureurs cyclistes lors du Tour de France dans les années 30, et qui se tua en moto lors du Tour 1957 qu’il couvrait pour Radio Luxembourg. Contrairement à ce qui est écrit dans certains guides, il repose bien dans la 10ème division de l’ancien cimetière et non dans celle du grand.
GRAND CIMETIÈRE
curiosités
– A l’entrée du cimetière, une plaque rappelle la mémoire de deux fossoyeurs qui furent fusillés en 1940.
– un très grand nombre de tombes gitanes, toujours richement décorées, qui oscillent entre la cabane de jardin et la cabine téléphonique !
– Peu de monuments grandioses donc dans ce cimetière : quelques statues localisées dans quelques divisions seulement...
– La très belle tombe en céramique de la famille Peyracchia.
– Une plaque-médaillon en bronze de S.Kinsburger sur la tombe du jeune Maurice Lucas, tombé au front en 1917.
– Un médaillon minéral sur la tombe de Pierre Walter-Amaury, signé Léo Amaury.
– Un petit médaillon sur la tombe Cazes (33e division).
– médaillon pour le résistant fusillé Marcel Gonthier (16e division).
– La plus étonnante tombe du cimetière est celle de la famille Bournet-Popinot-Bouesnach-Renaud, signalée dans la 14ème division par un buste de Kourmskoff surmonté d’un ciel zodiacal.
– une rare épitaphe surprenante :
– La mère de Guillaume Seznec avait été inhumée dans ce cimetière mais fut transféré ultérieurement dans le caveau de son fils en Bretagne. Idem pour l’écrivain autrichien Ödön VON HORVATH (1901-1938), qui après avoir reposé ici, dans la 28ème division, fut transféré au cimetière de Heiligenstädt à Vienne en 1988, à l’occasion du 50ème anniversaire de sa mort.
Présentation par divisions
1ère division
– Le jeune artiste dramatique Abel Louis BAUMÉ (1882-1905), qui repose sous un médaillon en bronze dans la 1ère division.
– La peintre Gabrielle BERRHAGORRY-SUAIR (+1942) [1ère don,5,114]
– Les poètes Georges (1884-1927) et André (1908-1944)
CHENNEVIERE (Debille de leur vrai nom) ; le premier ayant créé en 1906 avec son ami Jules Romains la doctrine de l’Unanimisme, considérant que les groupes sociaux connaissent une vie psychique propre, comme les individus qui les composent, le second ayant été fusillé en août 1944 à la libération de Paris.
– Le comédien, chansonnier et animateur radio Georges GOSSET (1906-1980),
qui tourna 28 films pour le cinéma dans les années 40 et 50.
– L’acteur et metteur-en-scène Alfred PASQUALI (1898-1991), qui a également
prêté sa voix à de nombreux films et dessins animés (il était en particulier la voix de Merlin dans Merlin l’enchanteur). Il repose dans la 1ère division.
– L’actrice Marcelle PRAINCE (Célestine Cardi : 1882-1969), qui débuta au théâtre
vers 1905. En 1912, elle aborda le cinéma muet en tournant quatre courts-métrages comiques avec Charles Prince. Avant l’apparition du parlant, elle poursuivit parallèlement une carrière théâtrale et cinématographique. À partir de 1930, elle incarna au cinéma des rôles correspondant à son âge, grands-mères, concierges, vieilles comtesses et même chiromancienne. Elle repose dans la sépulture Cardi dans la 1ère division.
2ème division
– Le footballeur Eugène FRAYSSE (1870-1950), qui fut le premier capitaine d’une « sélection nationale » française lors d’une compétition officielle, en l’occurrence le Club français lors du tournoi olympique de démonstration de Paris en 1900. Outre une distinction de vice-champion olympique en 1900, Eugène Fraysse fut champion de France USFSA en 1896 avec le Club français [2e don, 1, 6].
– Hubert LAGARDELLE (1874-1958) : il fut le modèle de l’intellectuel
passant de l’extrême gauche, dans le mouvement socialiste et syndicaliste, à l’extrême droite, dans la mouvance fasciste et le régime de Vichy. Au-delà d’un apparent illogisme chez ce bourgeois d’origine et de formation, on perçoit une quête constante de la révolution – du syndicalisme révolutionnaire à la révolution nationale – qu’il croit atteindre dans les corps intermédiaires (syndicat, région, métier) rejetant l’individu, l’Etat et finalement les valeurs de la démocratie libérale. Il développa son action à une triple échelle, régionale, celle du Sud-Ouest, nationale, du Quartier latin au gouvernement de Laval (il fut ministre du Travail), et internationale, des voyages de formation en Europe à la mission diplomatique à Rome, toujours à la recherche d’une « troisième voie » entre libéralisme et collectivisme. En 1943, il fut contraint à la démission du gouvernement et devient rédacteur en chef du journal collaborateur de gauche La France socialiste. En 1946, il fut condamné à la prison à perpétuité, puis libéré en raison de son âge en 1949. Il est toujours indiqué sur le plan [2e don, 1, 174] a priori en bordure, mais le registre des inhumations du cimetière indique une exhumation le 22 octobre 1988.
4ème division
– Le clown RHUM (Henri Sprocani : 1904-1953), considéré
comme l’un des plus grands Auguste de son époque. Partenaire de Pipo, des Dario-Bario, ou encore du clown Porto, il fut l’ami de Jacques Tati avec lequel il tourna quelques films (Gai dimanche, Soigne ton gauche). Il repose dans la 4ème division.
6ème division
– Le sculpteur Georges CLÈRE (1829-1895), ancien élève de Rude, qui prit une part assez importante à la décoration du nouveau Louvre et du palais des Tuileries. Il travailla aussi pour l’hôtel de la préfecture de Versailles et pour le palais des Facultés, à Nancy [6e don 2e section, 3W, 3S].
7ème division
– L’organiste Emile BOUICHÈRE (1861-1895), ancien élève de Gigout, qui fut titulaire des orgues de l’église parisienne Sainte-Marie des Batignolles. Il repose avec son épouse, la soprano Emilie AMBRE (Emilie Ambroise : 1854-1898), qui fut la première interprète à chanter l’opéra Aïda en français, sous la direction de Verdi lui-même. Elle fut peinte par Manet dans son costume de Carmen. Après plusieurs tournées aux Etats-Unis, elle dirigea une école de chant à Paris [7e don, 3N, 9E].
– Le romancier Henri DEMESSE (1854-1908), qui pasticha Dumas, repose sous un facétieux médaillon le représentant dans la 7ème division.
– L’acteur LASSOUCHE (Pierre-Jules Bouquin de La Souche : 1828-1915), qui dans divers théâtres parisiens créa de nombreuses pièces d’Eugène Labiche, de Meilhac et Halévy, et des opérettes d’Offenbach. Il fut également l’auteur de nombreuses comédies [7e don, 9S, 10E].
8ème division
– Le chansonnier Xavier PRIVAS (Antoine Paul Taravel : 1863-1927). Si une
rue de Paris ne portait pas son nom, cette figure légendaire de Montmartre serait totalement oubliée. En son temps pourtant, il fut une figure incontournable de la vie culturelle de la butte, élu « prince des chansonniers ». Ses poèmes chantés évoquaient évidemment les misères humaines, d’où l’humanisme n’était pas absent. Dans le même tombeau repose sa compagne et sa muse, Francine LOREE (1876-1963) Ils reposent dans un caveau dit « des chansonniers » avec plusieurs autres dont le nom (et la mémoire) sont presque totalement effacés : Léon de BERCY (Léon Drouin : 1857-1915), hydropathe qui se produisait au Chat noir, spécialiste de l’argot montmartrois, Georges JOUSSAIN (1900-1931), Jean MAADER (1853-1930), Henri COLHUMEAU (1866-1924), Antoine LAUFF (1884-1923), Yon LUG (1864-1921) et le belge Henri ENTHOVEN (1886-1920), qui avait fondé le cabaret du Diable au corps, puis celui du Moulin de la chanson. C’est à l’occasion de ses obsèques, pour gérer la concession de ce cimetière, que fut fondé l’Association amicale des chansonniers dont le premier président fut Fursy. Ce type de présences dans ce cimetière rappelle qu’en bien des points, St-Ouen est une extension extra-muros de Montmartre (on pense évidemment également à Suzanne Valadon, Henri Curriez ou Alphonse Allais). Il semblerait que depuis l’inhumation de Francine Lorée-Privas, plus grand monde ne soit venu visiter le tombeau, qui se trouve dans la 8ème division.
9ème division
– La comédienne Germaine DERMOZ (Germaine Deluermoz : 1888-1966), qui fit
du théâtre chez Réjane, Firmin Gémier dont les nombreuses tournées théâtrales la conduisirent, avant la première guerre mondiale, en Argentine, en Russie. A Saint-Pétersbourg, elle joua devant le Tsar Nicolas II et essuya les premiers tirs de la révolution d’octobre 1917. Entre les deux guerres, elle préféra se consacrer presque exclusivement au théâtre. Elle joua sur les plus grandes scènes parisiennes, y connut d’immenses succès dans des pièces d’auteurs contemporains : en 1938, elle créa le personnage d’Yvonne dans Les Parents terribles de Cocteau, auprès de Gabrielle Dorziat et du tout jeune Jean Marais, remplaçant quasiment au pied levé Yvonne de Bray pour qui le rôle avait été écrit. Sa carrière cinématographique se déroula en grande partie au temps du muet. Celle-ci fut plus relâchée car elle n’accepta des propositions de tournage que si elles ne compromettaient pas ses engagements au théâtre. Citons Le Bal dans lequel elle donna la réplique à Danielle Darrieux dont c’était le premier film. Elle fut aussi, en 1950, Madame Husson auprès d’un Bourvil niaiseux à souhait dans le film Le Rosier de Madame Husson. Elle repose dans la 9ème division.
– Le journaliste Wilfrid de FONTVIELLE (1824-1914). Républicain convaincu, il
participa à l’invasion de la Chambre des députés lors de la Révolution de 1848. Il collabora à différentes feuilles d’extrême gauche. Après le coup d’État du 2 décembre 1851, il fut déporté en Algérie. Amnistié en 1859, il revint en France et reprit son métier de journaliste. S’intéressant particulièrement à l’aéronautique, il effectua diverses ascensions en ballon et battit plusieurs records, dont celui de la durée dans l’atmosphère (deux jours pour faire Paris-Compiègne) et, en 1869, celui de vitesse avec Gaston Tissandier (1843-1899), (180 km à l’heure). Lors de l’invasion allemande en 1870, il proposa au gouvernement de Défense nationale de faire des reconnaissances en ballon. Il fut l’auteur de nombreux articles de vulgarisation dans des revues scientifiques. Il repose dans la 9ème division de ce cimetière depuis 1939.
– Léo LELIÈVRE (1872-1956) : parolier de nombreuses chansons de la Belle Époque aux années 1950. Il écrit notamment pour Fragson, Mayol, Paul Dalbret et Émile Audiffred. Il est également revuiste au Ba-ta-clan, au Concert Mayol et à la Gaîté-Rochechouart. Parmi ses créations : la fameuse Matchiche, coécrite avec Paul Briollet, ou encore la Biaiseuse, avec Paul Marinier ; interprétée, entre autres, par Annie Cordy et Marie-Paule Belle [9e don, 14N, 16W].
– L’escrimeur Léon THIÉBAUT (1880-1956), qui participa aux épreuves individuelles des trois armes (épée, fleuret et sabre) ainsi qu’à celle de maîtres d’arme et d’amateurs lors des Jeux olympiques d’été de 1900 à Paris et remporta avec le sabre la médaille d’argent [9e don, 14W, 5S].
10ème division
– Léon BÉLIÈRES (1880-1952) : acteur français de théâtre et de cinéma, il
tourna de 1911 à 1952. Il repose dans la 10ème division.
– Le sculpteur, médailleur et ébéniste français Alexandre CHARPENTIER
(1856-1909), qui fut l’auteur de nombreuses médailles de diverses personnalités. Il participa à la décoration exemplaire de la Villa Majorelle à Nancy, et réalisa une salle à manger pour Adrien Bénard, banquier et promoteur du Métropolitain, pour sa villa de Champrosay (ensemble conservé au musée d’Orsay à Paris). Rénovateur des arts décoratifs, il fut l’un des maîtres français de l’Art nouveau. A Paris, il réalisa en particulier le décor sculpté du cabaret le Chat noir [10e donS,2,10].
– La peintre Antonine ODÉRIEU (1857-1908). Ancienne élève de Charles Chaplin, elle exposa au Salon à partir de 1877 des aquarelles et des miniatures [10e don, 8S, 16].
– L’acteur Lucien RAIMBOURG (1903-1973) qui fit du cabaret, du music-hall, du
cirque ; participa à des revues et se produisit comme chansonnier. Il eut de nombreux seconds rôles au cinéma. Cousin éloigné de André Raimbourg dit Bourvil, il ne jouèrent ensemble que dans un seul film, Sérénade au Texas (1958). Comme pour beaucoup de comédiens de cette époque, c’est surtout le théâtre qui était sa véritable passion. Il se produit au TNP, et participa à la création de En attendant Godot. Il participa enfin au tournage de nombreux téléfilms. Il repose dans la 10ème division [1].
– Le danseur Alberto SPADOLINI (1907-1972), qui travailla avec Joséphine Baker
au prestigieux « Casino de Paris ». Surnommé le Danseur Nu, il devint une figure célèbre de la scène parisienne du music-hall, scandalisant les esprits bien-pensants en se présentant avec une coquille pour tout effet. Il tourna dans une dizaine de films, et fut également un peintre fort apprécié. Il repose dans la 10ème division.
– Le pianiste Paul TAGLIAFERRO (+1909), père de la célèbre pianiste Magda Tagliaferro, inhumé sous un médaillon de N.de Gregorio.
11ème division
– L’acteur marseillais Fernand FLAMENT (1891-1948), qui joua au cinéma des seconds rôles "avec l’accent", apparaissant, entre autres, dans des films de Marcel Pagnol. Il fut en un premier temps inhumé au cimetière parisien de Pantin, avant son transfert un mois plus tard dans ce cimetière [11e don, 14, 24] - exhumé en 1966 ?
– FURSY (Henri Dreyfus : 1866-1929) : chansonnier montmartrois, il dirigea
plusieurs cabarets, comme gérant ou propriétaire, dont le célèbre Chat noir, qu’il racheta après la mort de Rodolphe Salis en 1897 et rebaptisa par la suite « La Boîte à Fursy ». Il fut aussi parolier pour plusieurs artistes parisiens. Il fut en un
premier temps inhumé dans le caveau familial du cimetière Montparnasse, puis fut transféré dans la sépulture Guignot, du nom de sa femme. Si sa tombe est toujours présente, elle est en triste état et est devenue totalement illisible.
– La cantatrice Lucienne de MEO (1904-1930), dont la carrière dans le répertoire wagnérien (elle chanta dans la Walkyrie dès 1928) fut abrégée par une mort précoce, et qui repose dans la 11ème division.
12ème division
– Le baryton néerlandais Henri ALBERS (Hendrik Albers : 1866-1926), qui durant sa
carrière internationale de 37 ans fut un chanteur vedette du Théâtre de la Monnaie à Bruxelles et de l’Opéra-Comique [12e don, 7S, 20E].
– Charles BÉNÉZIT (1815-1900) : chanteur d’opérettes, compositeur et professeur de chant, il fut l’ami de Leconte de l’Isle et de Hugo. Il fut le père de l’historien de l’art Emmanuel Bénézit, auteur du fameux dictionnaire d’artistes Bénézit, qui lui fut inhumé au cimetière de Bagneux [12e don, 19,32].
13ème division
– Le chanteur fantaisiste Victor LEJAL (1863-1916) : remarqué par Paulus
qui l’engagea au Ba-Ta-Clan, il obtint un franc succès qui lui permit de monter sur les planches de toutes les grandes salles parisiennes. Inhumé au cimetière parisien de Pantin, il fut transféré ici [13e don, 8N, 5W].
– Le peintre allemand Grete WIEGELS (1883-1908), qui appartint à l’école de Montmartre. Déconcerté par l’art nouveau, victime de la drogue, il se pendit à une poutre du Bateau-lavoir. Picasso, qui entretenait un rapport ambigu avec le jeune peintre homosexuel, fut durablement déstabilisé par sa fin tragique. Pierre Mac Orlan en fit le héros de Quai des Brumes) [13e don, 15, 54]
14ème division
– Le peintre Albert BRAUT (1874-1912), qui fut élève d’Élie Delaunay et de Gustave Moreau [14e don, 18,18].
– DORVILLE (Henri Dodane : 1883-1940) : comique troupier, puis chanteur
d’opérettes, il aborda tardivement le cinéma et fit finalement peu de films. Le dernier en date (Circonstances atténuantes en 1939) reste dans les mémoires : il y joue un barman qui entonne, avec Arletty, la chanson Comme de bien entendu.
– L’aviateur Gustave LEMOINE (1902-1934), qui détint en 1933 un record d’altitude qui fut dépassé trois ans plus tard par Maryse Hilsz. Il repose dans la 14ème division sous la tombe la plus audacieuse du cimetière : deux grandes ailes ornées d’un médaillon le représentant, œuvre de Vaudrey.
– La peintre Jacqueline MARVAL (Marie-Joséphine Vallet : 1866-1932), qui décora le foyer du nouveau Théâtre des Champs-Élysées. Elle connut un véritable succès, en particulier auprès des artistes de l’avant-garde de son époque. Elle vécut avec Jules Flandrin [14e don, 12, 31].
15ème division
– Le chanteur ANDREX (André Jaubert : 1907-1989), qui commença sa
carrière à l’Alcazar de Marseille avant de « monter » dans la capitale pour se produire dans les plus prestigieuses salles de l’époque (le Concert Mayol, l’ABC, Bobino...). Son répertoire sans prétention (le titre
dont il fut l’interprète « historique » demeure Comme de bien entendu, issu du film Circonstances atténuantes) était compensé par un bagout tout méridional qui plaisait. Ami de Fernandel, il fut également acteur et fit partie de la distribution de nombre de ces films, en particulier dans ceux de Pagnol. Il avait épousé l’actrice des années 40 et 50 Ginette BAUDIN (1921-1971), très oubliée de nos jours, avec laquelle il est inhumé dans la 15ème division.
–
Le couple de réalisateurs Danièle HUILLET (1936-2006) et Jean-Marie STRAUB (1933-2022), qui incarnèrent le cinéma moderne. Ils furent les auteurs d’une œuvre radicale. Ainsi, En 1967, la Chronique d’Anna-Magdalena Bach les impose comme les principaux représentants d’un nouveau cinéma remettant en cause les schémas narratifs et esthétiques traditionnels : plans fixes ou longs travellings des textes adaptés d’œuvres littéraires ou d’opéras.
16ème division
– le peintre d’origine arménienne Charles ATAMIAN (18721947), qui fut également
dessinateur de céramiques, illustrateur de livres et de revues, portraitiste, décorateur de théâtre, photographe et affichiste [16e don, 7,23].
– Roger FÉRAL (Roger Lazareff : 1904-1964) : frère aîné de Pierre Lazareff,
il fut l’un des artisans importants de la radio française. Il dirigea Radio 37 où il créa l’émission Le Bar des vedettes, qui fut transposée à la télévision après la guerre. Il est fut connu du grand public pour son émission télévisée Télé-Paris, devenue Paris-Club, où le Tout-Paris se côtoyait. L’émission, l’une des plus populaires en France, entièrement en direct, permettait au public de suivre l’actualité culturelle parisienne. Il y recevait écrivains, acteurs, chanteurs et musiciens. Il fit également partie de l’équipe dirigeante de France-Soir, et codirigea l’agence Scoop. Parallèlement à sa vie médiatique, il entretint une importante activité créative (il fut l’auteur de pièces de théâtre, et signa ou co-signa des scenarii de films, dont Divine de Max Ophüls. Il fut enfin l’auteur de plusieurs dizaines de chansons et de romans [16e don, 11, 10].
– Le footballeur français d’origine italienne Roger GRAVA (1922-1949),
champion de France en 1947 puis d’Italie en 1949, qui périt avec toute son équipe du FC Turin dans l’accident aérien du 4 mai 1949, à Superga, près de Turin. Il repose dans la 16ème division.
17ème division
– La comédienne Luce FABIOLE (Marie-Antoinette Bernus : 1892-1982), qui
tourna un très grand nombre de petits rôles tant au cinéma, au théâtre qu’à la télévision entre les années 20 et les années 70. Elle repose dans la 17ème division.
– Le peintre ukrainien Theodor KOVNER (1895-1977), qui étudia la peinture à Saint - Pétersbourg avant de s’installer en France en 1923. Il exposa ses œuvres dans de nombreux Salons parisiens [17e don].
18ème division
– L’humoriste et dessinateur Pierre Henri CAMI (1884-1958), qui connut le succès
dans les années 20 avant de sombrer dans l’oubli. Doué pour la caricature, mais plus particulièrement encore pour le théâtre loufoque, il créa des personnages burlesques fort appréciés (en particulier de Charles Chaplin). Il fut également l’auteur de « la semaine Camique » dans L’Illustration. Il repose dans la 18ème division [18e don,21,16].
– L’homme de lettres Pierre CHAPELLE (1876-1927), qui composa des chansons pour la valse, repose dans la 18ème division sous un médaillon d’Auguste Maillard.
– La comédienne de théâtre mais aussi de cinéma (elle tourna des années 10 aux
années 30) Jeanne CHEIREL (1868-1934). Elle repose dans 18ème division.
– Le baryton-basse Hector DUFRANNE (1870-1951), chanteur à l’Opéra
comique, qui fut l’une des grandes voix de son époque. Il fit plusieurs premières qui comptèrent (en particulier Pélleas et Mélisande de Debussy), et fut un interprète habile du répertoire Wagnérien, tant en français qu’en allemand. Il repose dans la 18ème division avec sa fille, la comédienne Jacqueline DUFRANNE (1915-2011).
– L’haltérophile Roger FRANÇOIS (1900-1949), champion du monde des poids mi-lourds en 1922, qui participa à trois olympiades (1924, 28, 32) et qui devint champion olympique, dans la catégorie des poids moyens, lors des Jeux olympiques d’Amsterdam (1928) [18e don, 10, 2].
– L’actrice Mona GOYA (Simone Marchand : 1912-1961), qui tourna de 1927
à 1960, repose dans la 18ème division.
19ème division
– Le peintre René SCHÜTZENBERGER (1860-1916), qui fréquenta l’atelier de
Jean-Paul Laurens à l’Académie Julian à Paris. Il exposa au Salon des artistes français dès 1889. Il pratiqua la peinture de genre, de portrait, de nu et de paysage ; abordant des sujets de la vie quotidienne et des scènes intimistes. Son art s’inscrivit dans le courant du postimpressionnisme et ses dessins, d’un style japonisant, fut comparé à celui des nabis [19e don 1ère section, 2,62].
21ème division
– L’actrice Suzanne DEHELLY (1902-1968), qui tourna beaucoup,
mais toujours dans des seconds rôles, des années 30 aux années 60. Elle était l’épouse du scénariste Marcel RIVET (1905-1957) qui est le seul à avoir une identité sur leur tombe commune. Elle repose dans la 21ème division.
– L’auteur-compositeur Jean LENOIR (Jean Neuburger : 1891-1976), qui
prit des cours avec Louis Vierne, et qui composa pour toutes les vedettes de son époque (Yvonne Georges, Maurice Chevalier, Mistinguett...) mais également pour le cinéma. Ses deux titres les plus connus furent « Voulez-vous danser grand-mère ? », créé pour Lina Margy et interprété bien plus tard par Chantal Goya, et surtout « Parlez-moi d’amour », qui fit de Lucienne Boyer une vedette. Il est inhumé dans la 21ème division.
– Le compositeur, chef d’orchestre et pianiste de jazz Guy LUYPAERTS
(1917-2015), qui fut l’accompagnateur musical de Charles Trenet et qui accompagna Édith Piaf pour ses récitals et ses enregistrements - il dirigea en particulier l’enregistrement de La Vie en rose en 1946. Il collabora aussi avec Georges Ulmer pour un succès international : Pigalle ; et fit les orchestrations, des compositions et des arrangements pour Lucienne Boyer, Tino Rossi, Jacqueline François ou Georges Guétary... Il composa également des musiques de film. Sur sa pierre tombale, seul le nom de son épouse est gravé.
– Le contrebassiste et fan d’opéra cubain Rafael RUIZ (1908-1998), qui fut le professeur de chant et le mentor du ténor Roberto Alagna. Il repose dans la 21ème division.
22ème division
– L’archer Emile FISSEUX (1862-1916), qui participa à deux reprises aux Jeux olympiques. Lors des Jeux olympiques d’été de 1900 à Paris, il concourut à l’épreuve du cordon doré à 50 mètres et remporta une médaille de bronze [22e don, 2E, 16].
– L’acteur Richard FRANCŒUR (Albert-Raoul Richard : 1894-1971), qui tourné dans une trentaine de films entre 1939 et 1963. Il fut également un comédien de doublage, et fut en particulier la voix française de Gary Cooper [22e don, 13, 10].
23ème division
– Georges L. CASTELAIN (1883-1949), ouvrier du textile, qui contribua à
créer en 1929 la Société des Meilleurs Ouvriers de France destinée à faire connaître ceux qui avaient été récompensés par un Prix. Sa tombe, dans la 23ème division, est ornée d’un médaillon reproduisant la médaille des M.O.F, réalisée par René Papa d’après un modèle de Henri Lagriffoul.
–
Le sculpteur René COLLAMARINI (1904-1983) avait son atelier rue Tourlaque, en bas de la butte Montmartre. Professeur aux Beaux-Arts, il fut l’auteur de sculptures monumentales qui ornent un très grand nombre d’édifices publics des villes de France. Il participa en particulier à la reconstruction de villes comme Abbeville, Valognes ou Amiens. Il est inhumé dans la 23ème division avec son épouse, l’actrice Mona DOL (Amélie Collamarini del Bart : 1901-1990), qui fit partie de la troupe de Jean Vilar au TNP, et qui tourna pour le cinéma des années 30 aux années 60. Elle fit également du doublage et fut la voix française français de Hattie McDaniel (Mamma) dans Autant en emporte le vent ("Mamzelle Scarlett"). Leur tombe est orné d’une sculpture.
– Henri CURRIEZ (+1976) dit « le Père la Souris », camelot légendaire de Paris.
– Le peintre Maxime DASTUGUE (1851-1909). Elève de Jean-Léon Gérôme, il se fit connaître comme portraitiste et exposa au Salon des artistes français de 1876 à 1908. Les nombreuses toiles rapportées de ses séjours en Égypte en firent également un peintre orientaliste apprécié.
– Le joueur de waterpolo Albert THÉVENON (1901-1959), qui fit partie de la sélection française participant à la compétition de water-polo aux Jeux olympiques d’été de 1928 à Amsterdam, et où il remporta la médaille de bronze [23e don, 27, 22].
24ème division
– Le comédien Jean DAX (Gontran Willar : 1879-1962), qui tourna dans le premier tiers du XXe siècle. Il fut à cette époque l’un des partenaires favoris de Mistinguett. L’arrivée du cinéma parlant et l’âge étant venu, Jean Dax fut relégué aux rôles secondaires. Il repose dans la 24ème division.
– Le chansonnier Léo NOËL (1914-1966), joueur d’orgue de barbarie qui fit
le succès, avec Brigitte Sabouraud et quelques autres, du cabaret l’Ecluse dont il fut le Monsieur Loyal légendaire. Il était également un militant anarchiste. Il repose dans la 24ème division.
– Le poète et romancier anarchiste Georges VIDAL (1903-1964), auteur de romans d’aventure et de romans policiers [24e don, 1, 31].
25ème division
– Georges BEVER (Georges Van Bever : 1884-1973) : chanteur dans les
caf’conc’ de la capitale, puis dans les revues et opérettes, il s’orienta ensuite vers le cinéma. Sa carrière cinématographique comporte plus de 200 films entre 1927 et 1969. Il repose dans la 25ème division.
– La journaliste et critique théâtrale, longtemps collaboratrice de la radio TSF, du magazine Zurban et de plusieurs autres publications spécialisées, Catherine GERMAIN-LUCKER (1960-2002). Elle repose en bordure de la 25ème division.
26ème division
– Le peintre Raymond MORITZ (1851-1950), qui fut un illustrateur de romans feuilletons, repose dans la 23ème division.
27ème division
– Eugène GODARD (1861-1910) repose sous une stèle ornée d’une montgolfière en bronze. Il s’agit de l’un des membres de la fameuse dynastie d’aérostier dont le plus célèbre fut Eugène père (1827-1890), qui fit faire à Jules Verne son unique vol en ballon, vendit l’un de ses ballons à Nadar, devint « aérostier de l’Empereur » et favorisa, durant le siège de Paris, le transfert par ballons des hommes et des informations. Il se pourrait qu’il soit inhumé ici avec son fils, dans la 27ème division.
28ème division
– Emile GENEVOIS (1918-1962) : comédien français, sa carrière démarra
tôt puisqu’il fut choisit pour incarner Gavroche dans Les Misérables de Raymond Bernard, aux cotés d’Harry Baur. S’il tourna beaucoup par la suite, ces rôles devinrent au fil du temps de moins en moins consistants. Il repose dans la 28ème division.
– Le peintre paysagiste Léon GIRAN-MAX (1867-1927), également auteur d’affiches publicitaires. La division a subi un très grand nombre de reprises et je pense que sa tombe a disparu à cette occasion [28e don, 21, 13].
– Le machiniste de cinéma Morvan OMNES (1972-2021) et son fils Milo, victimes
d’un accident de voiture alors qu’ils travaillaient sur le tournage de Qu’est-ce qu’on a tous fait au bon Dieu ?.
30ème division
– L’homme d’affaires Léopold Emile ARTON (Emile Aron : 1849-1905), qui entre 1892 et 1898 défraya régulièrement la chronique judiciaire et politique pour son rôle d’agent corrupteur dans le scandale de Panama, dont il fut l’un des principaux protagonistes. Il mit fin à ses jours, bien que ce suicide ait semblé suspect. Sa tombe a visiblement disparu [30e don,1,32].
– L’actrice Denise CLAIR (Denise Couade : 1916-1970), que l’on vit au théâtre (elle
fit deux passages à la Comédie-Française), au cinéma et la télévision [30e don, 1, 5].
– Le comédien Gérard DARRIEU (Gérard Darrieumerlou : 1925-2004),
qui joua énormément, tant pour le théâtre, le cinéma que pour la télévision. Il était abonné aux seconds rôles « bourrus ». Il repose dans la 30ème division.
– Le réalisateur et scénariste Jacques Daniel NORMAN (1901-1979) (Ne le criez
pas sur les toits, Tourments...). C’est lui qui mis en vedette le chanteur populaire Réda Caire, dans plusieurs films. Il repose dans la 30ème division.
31ème division
– L’actrice Mireille BALIN (1911-1968) qui connut un destin tragique :
mannequin vedette chez Patou, elle est remarquée par le cinéma et tourne dans quelques films (mais avec Grémillon, Pabst et Duvivier !). On se rappelle d’elle dans Pépé le Moko et Gueule d’Amour, où elle donnait la réplique à Jean Gabin. Elle est tour à tour sa maîtresse, puis celle de Tino Rossi. La Seconde Guerre mondiale marqua la fin de sa carrière : violée à la Libération (elle avait continué à tourner durant la guerre, et avait une liaison avec un officier allemand), atteinte du typhus, elle sombra dans l’alcool connut une lente déchéance physique. Elle mourut dans la misère et elle doit d’avoir une tombe à l’association la Roue tourne (œuvre d’aide aux artistes dans le besoin fondée par Paul Azaïs et sa compagne Janalla Jarnach). Lors de son enterrement, on plaça dans son cercueil, dit-on, un petit ours en peluche offert par Tino Rossi.
Elle fut rejointe en 1973 par l’acteur Jean TISSIER (1896-1973) avec lequel elle n’avait pas de lien, mais qui mourut également dans le dénuement, atteint d’une hémiplégie, et qui fut pris en charge par la même association. Issu du théâtre, il fut un acteur à la carrière remarquable tant dans la durée (de 1925 à 1972), dans le nombre de films (plus de 200) que par les réalisateurs qui le firent tourner (Autant-Lara, Vadim, Mocky, Carné ou Chabrol). Il jouait des ahuris nonchalants mais souvent sournois. Son rôle le plus fameux fut celui du fakir dans l’Assassin habite au 21. Leur sépulture, dans la 31ème division, est fleurie à chaque Toussaint par l’association.
– Le peintre Guillaume-Charles BRUN (1825-1908). Élève de Édouard-Antoine Marsal, puis François Édouard Picot et Alexandre Cabanel, il entra à l’école des Beaux-Arts en 1847 et débuta au Salon parisien en 1851. Influencé par le mouvement orientaliste, il se spécialisa dans les scènes de genre de la vie quotidienne en Afrique du Nord [31e don E, 8,53].
– Le peintre paysagiste Stanislas LÉPINE (1835-1892), ami de Corot et de
Fantin-Latour, qui représenta beaucoup Paris et la Seine, ainsi que la Normandie, et dont l’œuvre annonça l’impressionnisme, avait été inhumé dans une concession provisoire de cette division, plusieurs fois renouvelée, mais désormais disparue.
32ème division
– Le sculpteur nantais Charles Auguste LEBOURG (1829-1906), ancien élève de
Rude, il travailla à la décoration du palais du Louvre, sous la direction d’Hector-Martin Lefuel, à la reconstruction du pavillon de Marsan (1874), à l’église de la Trinité et à la reconstruction de hôtel de ville de Paris. Il partagea son temps entre Paris et son atelier de Nantes. Sculpteur ornemental, il réalisa également des bustes et une statue équestre de Jeanne d’Arc pour Nantes. Son œuvre la plus connue est la création des cariatides de la fontaine Wallace éditée par la fonderie d’art du Val d’Osne en 1872. Il œuvra également beaucoup pour les cimetières, et on retrouve ses réalisation dans plusieurs d’entre-eux, notamment au cimetière Miséricorde de Nantes. Il mourut malgré tout dans la misère. Il repose dans la 32e division.
Le poète Noël-Henri VILLARD (1904-1984), directeur fondateur de la revue "Grand diapason" en 1972. Avec lui repose son épouse, la comédienne martiniquaise Jenny ALPHA (1910-2010). La période coloniale l’empêchant de percer au théâtre, elle se tourna vers le music-hall où elle commence une carrière de chanteuse qui lui donna l’occasion de rencontrer Duke Ellington et Joséphine Baker. Durant la période de l’occupation de la France par les Allemands, elle et son mari cachèrent une famille juive à leur domicile à Nice. Pendant l’après guerre, son combat se porta dans la reconnaissance de la culture créole dans la mouvance de la négritude. Elle commença par la suite une carrière d’actrice et délaissa la chanson. Ils reposent dans la 32ème division.
33ème division
– L’actrice Yvette ANDRÉYOR (Yvette Royé : 1891-1962), tant au théâtre qu’au cinéma où elle fut une des premières actrices du muet, en particulier pour Louis Feuillade et Léonce Perret [33e don,12,41].
– L’anarchiste et franc-maçon Léo CAMPION (1905-1992), qui fut
caricaturiste de talent dans la presse belge, chansonnier à Bruxelles puis à Paris, comédien puis successivement directeur artistique du Caveau des Trois Maillets, du Caveau de la République et du Tabou.... Bref, un personnage difficilement classable. Il était connu pour ses bons mots dont celui-ci, souvent attribué à Cocteau : « Il est curieux de constater combien les homosexuels prolifèrent, alors qu’ils ne se reproduisent pas ». Il repose dans la 33ème division.
– Georges FLAMANT (1903-1990) : acteur originaire de Tunisie, son physique lui fit
interpréter les rôles de gangster. A vrai dire, peu de monde loua son talent et il dut sa carrière à son épouse, Viviane Romance, qui l’imposait sur les tournages. Après leur séparation, il retourna rapidement dans l’anonymat. Il repose dans la 33ème division.
36ème division
– L’escrimeur André BONIN (1909-1998), sacré champion olympique
d’escrime en fleuret par équipes aux Jeux olympiques d’été de 1948 à Londres et champion du monde d’escrime en 1947 à Lisbonne. Il repose dans la 36ème division.
– Le ténor irlandais John O’SULLIVAN (1877-1955), qui connut de son vivant un énorme succès, reposerait dans la 36ème division.
– l’humoriste Jacques RAMADE (1928-2013), chansonnier dans des cabarets
parisiens au Caveau de la République et au Théâtre des Deux Ânes. Il trouva la popularité à la télévision dans les années 90 aux côtés de Jacques Martin dans l’émission satirique dominicale Ainsi font, font, font, puis fut employé par Laurent Ruquier. Il fut aussi un comédien de théâtre classique, et joue des petits rôles dans de nombreux films. Il repose dans la 36ème division ( Ligne 16 Tombe 32).
– Le réalisateur et dialoguiste Paul VANDENBERGHE (1916-1961).
.
Reposent également dans ce cimetière (division inconnue ou partie ancienne ou nouvelle)
– Le peintre, sculpteur et poète Auguste de CHATILLON (1808-1881). Inhumé dans la 1ère division (petit ou grand), 15, 32. Dernier renouvellement dans les registres en 1898.
– La poétesse Jane KIEFFER (1901-1982) ?
– Le cycliste Paul MÉDINGER (+1895) et son épouse qui l’assassina [6e don, transféré de la 13] (petit ou grand) ?
– Le peintre Marcel MONTREUIL (+1976)
– Le réalisateur Marcel PÉGUY (1883-1968) [10e don, 10S, 12E] (petit ou grand)
– L’écrivaine et journaliste Annie de PÈNE (Désirée Poutrel : 1871-1918) [7e don2, 8, 8S] (petit ou grand)
– L’homme de radio et chroniqueur gastronomique Ned RIVAL (Edouard Rival : 1924-1995).
Post-scriptum
Pour les photos des tombes Bélières, Bever, Dorville, Flamant, Grava, Darrieu, Gosset, Raimbourg et Genevois, merci à Claude Schwab.
Merci à Robin pour la tombe Goya.
Merci à Michel Schreiber pour la photo Dehelly.
Merci à Herbert pour les tombes Cheirel, Dermoz, Fontvielle, Pasquali, Praince
Merci au petit-neveu du clown Rhum, Maurice Sprocani, pour l’envoi de la photo de la tombe.
Merci à Jean-Yves Le Rouzic pour la photo Ramade.
Merci à Jean-Philippe Amoros pour la tombe Luypaerts
tombe Lejal : Wikipédia

Commentaires
Un très grand merci pour votre travail et vos commentaires très justes sur ce cimetière que je connais bien.
Bonjour,
Je cherche la trace d’un poète et peintre (et chansonnier) du nom d’Auguste de Châtillon qui fut enterré au cimetière parisien de Saint Ouen. Avez-vous déjà croisé ce nom ? Le cimetière conserve-t-il des archives nominatives ?
Merci de votre attention.
Bien à vous,
Alexandre
Bonjour,
j’ai visité une fois le cimetière de Saint-Ouen et j’ai bien réussi à trouver la tombe de Georges Gosset (malgré leur plan assez approximatif !). Malheureusement, je ne me souviens plus exactement comment j’ai fait pour la trouver ! Ils indiquent division 1, 3e ligne nord, 151e tombe ouest.
Y reposent également
– depuis 1995, Ned Rival, écrivain raffiné, notamment de "Rétif de la Bretonne " "Casanova,", "Tabac miroir du temps" ; critique littéraire dans "Lui" sous le pseudonyme de Cherche-midi ; animateur de radio.
– depuis ce 11 octobre 2012 , Anne-Laurence Fitère, Fèvre, créatrice du site http://www.la-maison-du-cancer.com/ parrainée par Alain Giraudeau. http://www.cancercontribution.fr/actus/anne-laurence-fitere/itemid-7
Tino Rossi allait souvent dans ce cimetière se receuillir sur la tombe de son ancienne fiancée, la dernière fois en 1982. Mon oncle, gardien du cimetière avait souvent affaire à lui. une étrenne, en remerciements. Brave homme, Tino. Il se trompait souvent dans les allées. Par l’intermédiaire de l’association "la roue tourne", il avait contribué à l’achat de ce tombeau. Un bel hommage, discret.
:-OJ’ai oubliée, le nom de l’ancienne fiancée de Tino Rossi était Mireille Balin, ancienne actrice aux ailes brûlées.
Vous avez raison. Tino Rossi passait toutes les années à Saint-Ouen, mais j’ai oubliée la période. Avec un joli bouquet de fleurs pour Mireille Balin.
Mon mari travaillait aux espaces verts entretiens du cimetière, il est décédé en 2005. Brave Tino, toujour disponible pour parler, simple pour signer des autographes, et pas fier du tout. Il avait contribué à payer la tombe avec son association "la roue tourne", Preuve que les histoires d’amour sont éternelles. Un homme, un vrai...
J’ai remarqué une erreur : le peintre Jean-Baptiste Olive est dans la partie ancienne du cimetière.
Dorville a doublement droit à être dans ce cimetière puisqu’il chanta une chanson effroyable "Ouin-Ouin" qui commençait par "J’suis né à Saint-Ouen, oui-ouin, tout près du rond-point, ouin-ouin, de parents très bien, oin-oin...", etc.
Bonjour,
Je cherche la trace d’un peintre du nom KOVNER TEODOR (FEDOR) 1895-1977, qui fut enterré au cimetière parisien de Saint Ouen. Avez-vous déjà croisé ce nom ? Le cimetière conserve-t-il des archives nominatives ?
Je veux payer la recherche. C’est possible ?
Merci de votre attention.
Bien à vous,
Alexandre, VARAMACLTD@ GMAIL.COM
Au cimetière de St Ouen (parisien) repose en effet Suzanne Dehelly, mais elle etait née le 1/10/1896 à Paris Xè et non 1902 (acte N° 4209), elle fut marié au comédien Robert Pizani en 1920, puis à Marcel Rivet en 1940 ; fille d’un marchand de tissus, elle n’est pas parente -pour l’instant ?- d’Emile à Maisons-laffitte.
Après vérification, Suzanne Dehelly était cousine d’Emile, puisque les deux pères étaient frères ; C.Q.F.D
Bonjour.
Nous recherchons la tombe de Henri (Johan Hendrik) Albers, chanteur d’opéra. ° 02/01/1866 Amsterdam et + 09/12/1926 Paris. Selon un article de journal, il est enterré dans ce cimetière. Il se trouve là seul enterré ? Ou sa femme Marguerite Jahn ? Si quelqu’un peut aider nous avance je vous remercie beaucoup.
Brigitte (de Belgique)
Bonjour.
Effectivement, ce cimetière n’est pas simple, c’est peu de le dire. Voici mes premières rectifications :
La tombe de Paul TAGLIAFERRO se trouve dans la division 10 et non pas dans la 7ème. Je suis tombé dessus (sans trop me faire de mal) tout à fait par hasard au vu de la photo.
J’ai trouvé la tombe GOSSET dans la première division. Voici son emplacement : ligne 3 Nord Tombe 151.
Enfin, je n’ai pas encore trouvé la tombe Jean-Baptiste OLIVE dans la 10ème division. Mais il me semble l’avoir aperçue dans l’une des 10 premières divisions. Affaire à suivre...
@Jean-Michel Albert
Olive est dans la partie ancienne Div. 10 section 1 (6° ligne Ouest ; nouvelle plaque très lisible)
@Jean-Michel Albert
Erreur de ma part ! Si Olive est bien dans la partie ancienne Div 10 section1 il se trouve ligne 9 Ouest et 39° tombe Sud. La tombe est telle qu’elle est sur la photo de Philippe.
@Philippe
Paul TAGLIAFERRO est dans la division 10 et non dans la 7, erreur dans le plan officiel de la Mairie de Paris. ( position : 10° ligne Sud et 15° tombe Ouest)
Mireille Balin, vous resterez à jamais dans nos cœurs même si votre vie a eu ses parts d’ombre.
Nous vous aimons et vous aimerons toujours chère Mireille Balin. Votre beauté restera intacte à tout jamais.
Pour la collaboration, Mireille Balin, c’était petit bras par rapport à Georges Albertini (1911-1983) ! Il reposerait à Saint-Ouen. Homme de l’ombre, de Déat à Georges Pompidou, mentor de Marie-France Garaud et Pierre Juillet qu’il initie à l’Elysée aux méandres du tirage de ficelles en apnée, il encourage une jeune garde de politiciens entreprenants, au nombre desquels les fringants Patrick Devedjian ou Gérard Longuet, les officines patronales plaçant leurs pions...
A St Ouen, dans la 18è division repose Mona Goya, mais d’après son acte de mariage avec le comédien Fernand Fabre elle était née en 1909, 3 ans de gagnées !
Fernand Fabre (1899-1987) était le Dr Knock du film de 1925, donc muet, donc pas de chatouilles, pas de gratouilles (...)
Dans ce cimetière, il y aurait aussi Philippe Koechlin (1938-1996), fondateur et rédacteur en chef du Magazine Rock et Folk, que je n’arrive pas à localiser.
À propos du "jeune E. BAUME (1882-1905) qui repose sous un médaillon en bronze dans la 1ère division" et n’a pu être identifié :
il s’agit d’Abel Louis Baumé, artiste dramatique, mort le 25 avril 1905, à 22 ans, au domicile de ses parents sis 109 rue du Faubourg-Saint-Honoré (Paris 8e). Voir l’acte de décès grâce au lien hypertexte.
Il repose avec sa sœur Alix Louise Baumé, décédée à 8 ans le 20 janvier 1896, à Paris 8e.
Voir Archives de Paris. Sources généalogiques complémentaires (cimetières). Actes d’état civil.
Par ailleurs, le site Généanet donne son registre matricule militaire : http://archives.paris.fr/arkotheque/visionneuse/visionneuse.php?arko=YTo0OntzOjQ6ImRhdGUiO3M6MTA6IjIwMTktMDQtMTIiO3M6MTA6InR5cGVfZm9uZHMiO3M6MTE6ImFya29fc2VyaWVsIjtzOjQ6InJlZjEiO2k6MTc7czo0OiJyZWYyIjtpOjg2NTY3OTt9#uielem_move=0%2C0&uielem_rotate=F&uielem_islocked=0&uielem_zoom=34.
Bonjour,
C’est dans ce cimetière qu’est enterré Claude Lantier, le peintre suicidé, au dernier chapitre de L’Å’uvre de Zola, roman publié en 1886. Le lieu et la cérémonie y font l’objet d’une description minutieuse et vraiment poignante. « On était, écrit Zola, dans le cimetière nouveau, aligné, numéroté, le cimetière des capitales démocratiques, où les morts semblent dormir au fond de cartons administratifs  »
On y lit notamment des détails à propos des espaces encore vides du cimetière, des concessions de cinq ans, du rythme pourtant déjà forcené des "reprises", des bières exhumées dont on fait brûler le bois humide, du « caveau commun  », du carré des enfants, de la proximité de la voie ferrée, etc. L’inhumation de Lantier est précisément localisée : « Avenue latérale n° 3  », côté Est.
L’époque, en revanche, n’est pas clairement délimitée. Selon les quelques chronologies internes un peu sérieuses des Rougon-Macquart que j’ai consultées, la scène se déroulerait « vers 1876  », sans qu’on puisse préciser plus.
Suzanne Dehelly à St Ouen & Emile Dehelly à Maisons-Laffitte avaient le même grand-père dans l’Aisne étaient donc cousin/cousine.
Bonjour.
Je vis en Ukraine (la ville d’Artemovsk (Kipuche), région de Lugansk), sur le territoire couvert par un conflit militaire entre l’Ukraine et la Russie.
Je ne parle pas du tout français et je m’excuse pour les erreurs et inexactitudes. J’ai vraiment besoin d’aide avec le cimetière de Saint-Ouen (93) : cimetière parisien (partie récente. Depuis 15 ans, je recherche la vie et rédige la biographie d’un citoyen français, grand industriel de Vulitch Douschan Nicolas Pierre Paul (1871-1941).
En 1910-1917, il attire les capitaux français en Russie et construit 4 mines de charbon dans la steppe nue. Il a été le fondateur de la société Ekaterininsky Coal Mines et le fondateur de la ville d’Artemovsk (Ukraine). Je sais avec certitude que son lieu de sépulture est le Division 7 Ligne 1 ouest Tombe 1sud est.
Plusieurs membres de sa famille sont également enterrés avec lui : de Vulitch Antuin Vladimir (1957), de Vulitch Therese (1941), de Vulitch Antuinette Therese (?).
Il est peu probable que j’aie jamais l’occasion de me rendre personnellement sur sa tombe.
Pour écrire une biographie plus complète et véridique, pour perpétuer la mémoire de cet homme qui a fondé la ville d’Artemovsk, j’ai vraiment besoin d’une photographie de sa tombe.
Je lance un appel aux personnes bienveillantes qui pourraient visiter sa tombe et la prendre en photo. Aidez-moi s’il vous plaît.
Merci pour votre attention. Je serais reconnaissant pour toute information ou conseil.
Sincèrement, Kartachov Sergey Nikolaevitch.
Mon contact : email : grumant61@ukr.net
La biographie de Mireille Balin publiée par Loïc Gautelier a été présentée par l’auteur dans une courte interview que l’on peut visionner à partir du lien suivant :
https://www.bing.com/videos/searchq=MIREILLE+BALI&&view=detail&mid=79CFA8778564A1719AF679CFA8778564A1719AF6&&FORM=VRDGAR&ru=%2Fvideos%2Fsearch%3Fq%3DMIREILLE%2BBALI%26FORM%3DHDRSC3
Bonjour,
Le peintre impressionniste Stanislas LEPINE (1835-1892) a été enterré division 31 Est dans une tombe provisoire, a priori disparue....